Nazaj na Siol.net

TELEKOM SLOVENIJE

Ponedeljek,
27. 10. 2025,
20.21

Osveženo pred

2 meseca, 3 tedne

Termometer prikazuje, kako vroč je članek.

Termometer prikaže, kako vroč je članek.

Thermometer Blue 1,67

Natisni članek

Natisni članek

Jamajka evakuacija nevarnost orkan

Ponedeljek, 27. 10. 2025, 20.21

2 meseca, 3 tedne

Minister opozarja državljane: Konec je. Sledite navodilom. #video

Termometer prikazuje, kako vroč je članek.

Termometer prikaže, kako vroč je članek.

Thermometer Blue 1,67

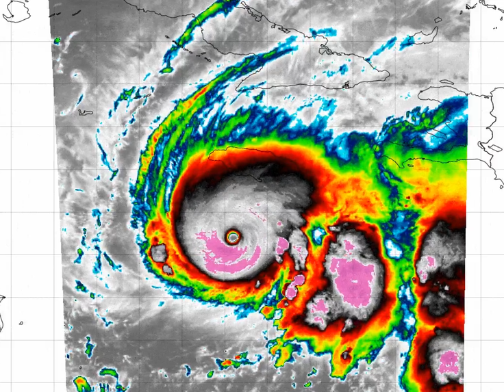
Orkan Melissa, ki je pred južno obalo Jamajke v Karibskem morju, se je danes okrepil v najvišjo, peto stopnjo, je sporočil ameriški nacionalni center za orkane (NHC). Iz centra so opozorili, da bo orkan, ki naj bi še danes dosegel Jamajko, na tej otoški državi povzročil katastrofalne poplave, zato so oblasti pozvale k evakuaciji. Minister za okolje je državljane zvečer po našem času opozoril, da se je čas za priprave praktično iztekel in da je zdaj čas, da spremljajo in sledijo navodilom oblasti.

Ključni poudarki dneva:

18.12 Minister opoazrja državljane: Konec je. Sledite navodilom.
10.53 Pozivi k evakuaciji: orkan se je okrepil v najvišjo, peto stopnjo

18.12 Minister opoazrja državljane: Konec je. Sledite navodilom.

Matthew Samuda, jamajški minister za vodo, okolje in podnebne spremembe, je državljane opozoril, da je čas za priprave potekel, saj se orkan Melissa bliža proti otoku.

"Vsako tiskovno konferenco, na kateri sem imel priložnost spregovoriti, smo začeli z besedami, da ni čas za paniko, ampak za priprave. Čas za priprave je zdaj skoraj mimo. Zdaj je čas, da poslušamo navodila," je o nevarnosti, ki preti zaradi izjemno močnega orkana, dejal Samuda.

Samuda je ljudi na otoku spodbudil k varčni uporabi virov in opozoril, da bi se lahko motnje v vodovodnem sistemu začele že nocoj.

"Motnje v vodovodnih sistemih se bodo začele, predvidevamo, pozneje zvečer in vse do zgodnjih jutranjih ur," je dejal. "Zdaj je vsekakor čas, da vodo shranite in jo uporabljate varčno. Vsaka kapljica šteje."

"Čas za priprave je skoraj pri koncu," je ponovno poudaril Samuda.

10.53 Pozivi k evakuaciji: orkan se je okrepil v najvišjo, peto stopnjo

Orkan Melissa | Foto: X/@Sausius_wx Foto: X/@Sausius_wx "Melissa je zdaj orkan pete stopnje," je NHC zapisal v najnovejšem opozorilu. Po njihovih navedbah bo orkan danes čez dan in ponoči na Jamajko prinesel neurje, uničujoče vetrove, valove in katastrofalne poplave, razmere pa se bodo čez dan še poslabšale, poroča francoska tiskovna agencija AFP.

Orkan se je v nedeljo okrepil v četrto, drugo najvišjo stopnjo, danes pa v najvišjo. Trenutno je pred južno obalo Jamajke, od prestolnice Kingston je bil ob 4. uri zjutraj po srednjeevropskem času oddaljen približno 200 kilometrov. Premikal se bo severno skozi Jamajko, kopno naj bi dosegel pozno danes ali zgodaj v torek, v naslednjih dneh pa bo dosegel tudi Kubo, preden bo počasi oslabel.

Orkan se premika počasi 

Še preden se je okrepil v najvišjo stopnjo je orkan prinesel vetrove, ki so pihali s približno 230 kilometri na uro. Orkan se premika precej počasi, kar pomeni, da bi lahko bila območja na njegovi poti bistveno dlje časa izpostavljena hujšim vremenskim razmeram.

Lokalne oblasti in vremenoslovci so prebivalce pozvali, naj takoj poiščejo zavetje. Jamajška vlada je na več ranljivih območjih odredila evakuacijo. Aktivirali so tudi zavetišča pred nevihtami, že v soboto zvečer pa zaprli mednarodno letališče v Kingstonu.

Melissa, 13. poimenovana nevihta letošnje sezone orkanov v Atlantiku, ki traja od začetka junija do konca novembra, je v zadnjih dneh že terjala najmanj štiri smrtne žrtve na Haitiju in v Dominikanski republiki, potem ko je v teh državah povzročila močno deževje in zemeljske plazove.

Zadnji večji orkan, ki je prizadel Jamajko, je bil sicer orkan Beryl julija 2024, ki je terjal najmanj štiri smrtne žrtve.

supertajfun Ragasa, tajfun, orkan, Kitajska, Tajvan
Novice Supertajfun Ragasa dosegel jug Kitajske #video
supertajfun Filipini
Novice Supertajfun z močnim dežjem in vetrom dosegel sever Filipinov #video
Ciklon
Novice Ostanki orkana Erin bodo zadeli Evropo. Burno bo tudi v Sloveniji.
Ne spreglejte