Nazaj na Siol.net

TELEKOM SLOVENIJE

Torek,
28. 10. 2025,
6.40

Osveženo pred

1 ura, 23 minut

Termometer prikazuje, kako vroč je članek.

Termometer prikaže, kako vroč je članek.

Thermometer Blue 0,88

Natisni članek

Natisni članek

orkan Jamajka neurje

Torek, 28. 10. 2025, 6.40

1 ura, 23 minut

Prihaja najmočnejše letošnje neurje na svetu. Premier: Na kolenih sem in molim.

Termometer prikazuje, kako vroč je članek.

Termometer prikaže, kako vroč je članek.

Thermometer Blue 0,88
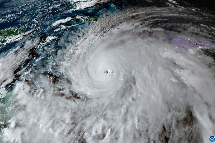
Orkan Melissa | Okrepitev Melisse v najmočnejšo letošnjo nevihto na Zemlji in eno najmočnejših neviht v Atlantiku nasploh je spodbudila nenavadno visoka temperatura oceana v Karibih. | Foto Reuters

Okrepitev Melisse v najmočnejšo letošnjo nevihto na Zemlji in eno najmočnejših neviht v Atlantiku nasploh je spodbudila nenavadno visoka temperatura oceana v Karibih.

Foto: Reuters

Orkan Melissa se je do ponedeljka zvečer okrepil v neurje najvišje, pete stopnje in se s hitrostjo vetrov prek 280 kilometrov na uro počasi in nezadržno približeval Jamajki, ki naj bi jo dosegel danes popoldne po srednjeevropskem času. Gre za najmočnejše letošnje neurje na svetu, ki je na Jamajki že pred prihodom zahtevalo tri smrtne žrtve.

Melissa, 13. poimenovana nevihta letošnje sezone orkanov v Atlantiku, ki traja od začetka junija do konca novembra, je v zadnjih dneh zahtevala najmanj štiri smrtne žrtve na Haitiju in v Dominikanski republiki, kjer je povzročila močno deževje in zemeljske plazove.

Čeprav je bil orkan v ponedeljek popoldne še daleč od obale Jamajke, pa so močni vetrovi že ruvali drevesa, rušili daljnovode in sprožali plazove. Oblasti so prebivalce posvarile, da najhujše šele prihaja.

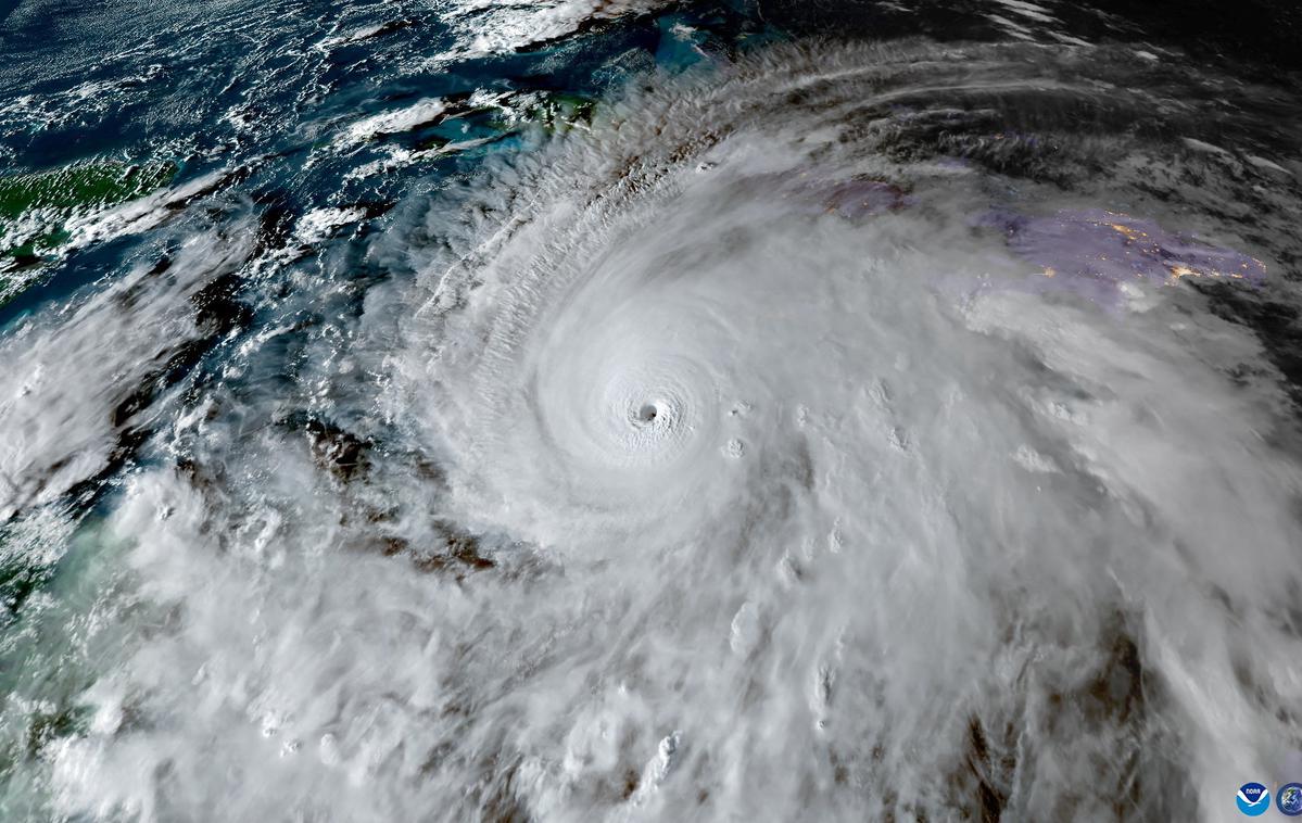
Čeprav je bil orkan v ponedeljek popoldne še daleč od obale Jamajke, so močni vetrovi že ruvali drevesa, rušili daljnovode in sprožali plazove.  | Foto: Reuters Čeprav je bil orkan v ponedeljek popoldne še daleč od obale Jamajke, so močni vetrovi že ruvali drevesa, rušili daljnovode in sprožali plazove. Foto: Reuters

Obalna območja evakuirali 

Ameriški Nacionalni center za orkane (NHC) opozarja, da se Jamajki ob prihodu orkana obetajo obilne padavine in do štiri metre visoki valovi plime, zaradi česar so v ponedeljek obalna območja evakuirali. V državi je na voljo 850 zavetišč za 20 tisoč ljudi.

Po navedbah jamajškega ministra za zdravje Christopherja Tuftona so na Jamajki tri osebe umrle med pripravami na orkan. V enem od primerov je drevo padlo na zdravstvenega delavca. Več ljudi se je poškodovalo po padcu s streh ali lestev, navaja španska tiskovna agencija EFE.

Okoli 50.000 ljudi je ostalo brez elektrike, večinoma na zahodnem delu otoka. Pouk v državi medtem poteka po spletu, navaja britanski BBC.

Študije kažejo tudi, da podnebne spremembe povzročajo močnejše orkanske padavine, kot so jih v preteklih desetletjih, saj toplejši zrak zadržuje več vlage.

Za obnovo bodo potrebovali mednarodno podporo 

"Če bo orkan Melissa res dosegel kopno kot orkan pete stopnje, bodo prizadevanja za obnovo zahtevala veliko več sredstev, kot jih ima Jamajka na voljo," je v ponedeljek za CNN povedal premier Jamajke Andrew Holness in dodal, da bodo potrebovali mednarodno podporo.

Po njegovih besedah veliko škodo med drugim pričakujejo na cestni infrastrukturi in kanalizaciji, nekaj je bodo verjetno utrpela tudi pristanišča in letališča.

"Na kolenih sem in molim," da bo vse dobro, je jamajški premier Holness povedal medijem in dodal, da je bil v stiku s svetovnimi voditelji. "Zdi se, kot da ves svet moli za Jamajko," je dejal.

orkan Melissa
Novice Minister opozarja državljane: Konec je. Sledite navodilom. #video
Ne spreglejte